House & Land Package in Rodney, Auckland
From $1,150,000
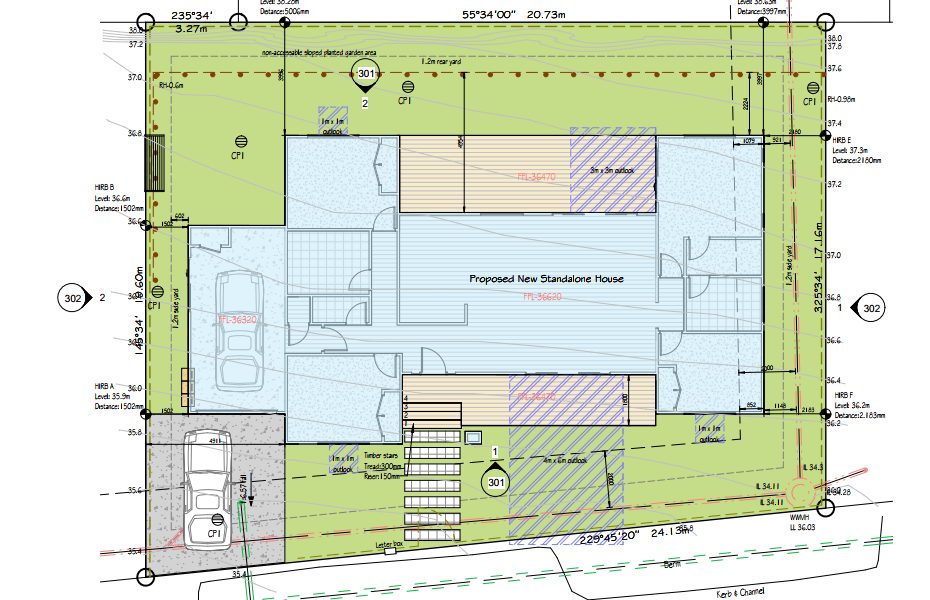
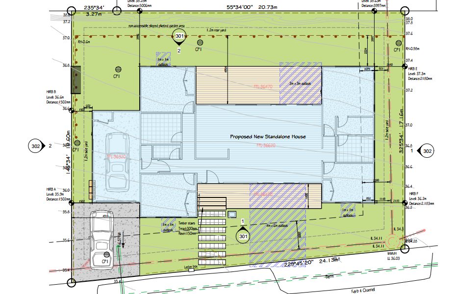
Lot 33 -14 Whenuateitei Crescent, Stanmore Bay, Rodney, Auckland
Chloe - 021 598 665
House Size m2
Property Size 441m2
4
2
1
1




